Property Details

Featured in:

Winners:

Featured in:

Winners:

4720 68 Street
Camrose (A2019025)

$148,200
Loading Listing...

Loan Term
Interest Rate
Loan Amount
Annual Tax
Ann. Insurance

* Amounts are estimates only. Final payment amounts may vary.

Description

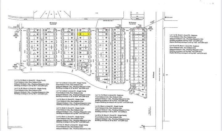
Welcome to West Park's newest development....Lakeside!!! This development is situated close to shopping and dining. You can access the walking path along the lake and build your own home! Don't miss out on an amazing opportunity in 2025.

Property details

Basic Info

MLS® #
A2019025
Property Type:
Land
Subtype:
Residential Land
Subdivision:
West Park
Price
$148,200
Sale/Lease:
For Sale

Building Info

Garage:
No
Basement:
No
Inclusions:
N/A
Outbuildings:
None

Neighborhood Info

Nearby Amenities:
Shopping Nearby

Lot / Land Info

Lot Size:
0.10 acres
Zoning:
R1

Materials & Systems

Amenities:
Shopping Nearby

Listing Info

Possession:
Immediate
Days on Market:
1,015
Related Properties
Share This Listing
Ask About This Property
  • This site is protected by reCAPTCHA and the Google Privacy Policy and Terms of Service apply.
Your Agent

Grassroots Realty Group Ltd.
1-833-477-6687

Email