Property Details

Featured in:

Winners:

Featured in:

Winners:

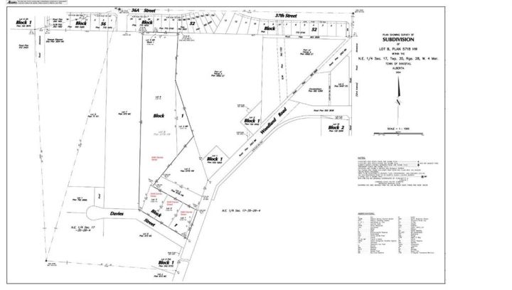
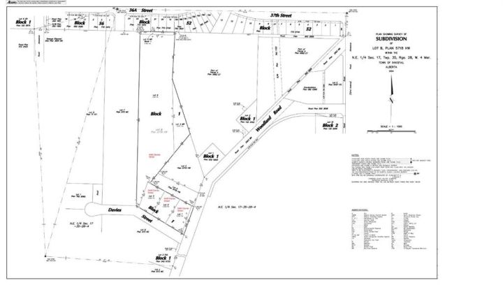
5400 Davies Street
Innisfail (A2242066)

$105,000
Loading Listing...

Loan Term
Interest Rate
Loan Amount
Annual Tax
Ann. Insurance

* Amounts are estimates only. Final payment amounts may vary.

Description

R-1C lot (s)!!! Don't miss your chance to place a manufactured home, bring your own builder and complete your dream home on this half an acre lot. This vacant lot is perfectly positioned in the community of beautiful Town of Innisfail. This prime lot offers unbeatable convenience to the highway 2 if you love travelling around. It sits in an area with lots of trees. Birds singing and Deers running around. Nature is just right outside of your door. It is R1C to allow more efficient use of the land. There are 3 lots for sale next to each other, so bring your friends and families together to your next door. Owner can provide finance on the land. Currently there is no municipal services to the lots. You can use a water well or cistern for potable water and septic field or pump out tank for sanitary sewer. When the municipal services are available, the land will have to connect to the municipal service. It is possible that each of these parcels could be the subject of a future subdivision.

Property details

Basic Info

MLS® #
A2242066
Property Type:
Land
Subtype:
Residential Land
Subdivision:
NONE
Price
$105,000
Sale/Lease:
For Sale

Building Info

Garage:
No
Basement:
No
Inclusions:
N/A

Neighborhood Info

Nearby Amenities:
Schools Nearby, Shopping Nearby

Lot / Land Info

Lot Size:
0.50 acres
Zoning:
R-1C

Materials & Systems

Amenities:
Schools Nearby, Shopping Nearby

Listing Info

Possession:
Immediate,Negotiable
Days on Market:
52
Related Properties
Share This Listing
Ask About This Property
  • This site is protected by reCAPTCHA and the Google Privacy Policy and Terms of Service apply.
Your Agent

Grassroots Realty Group Ltd.
1-833-477-6687

Email