Property Details

Featured in:

Winners:

Featured in:

Winners:

LOT 5 370 1 STREET NORTH Road
Drumheller (A2262811)

$85,260
Loading Listing...

Loan Term
Interest Rate
Loan Amount
Annual Tax
Ann. Insurance

* Amounts are estimates only. Final payment amounts may vary.

Description

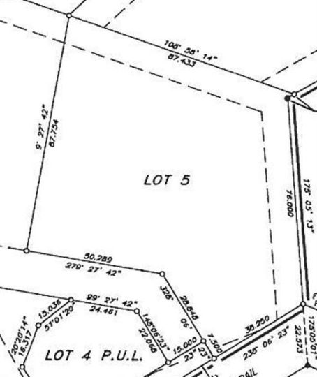
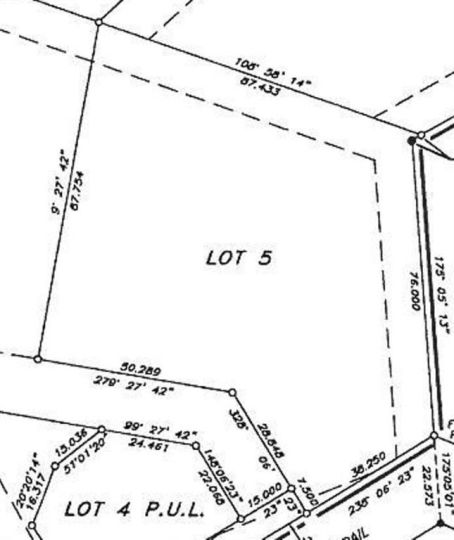
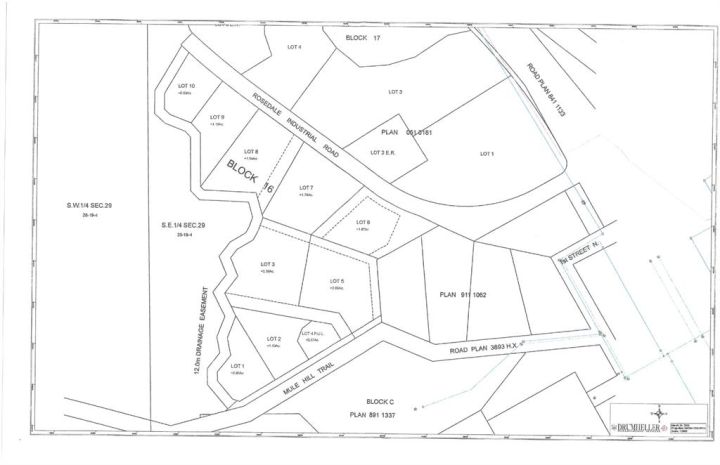
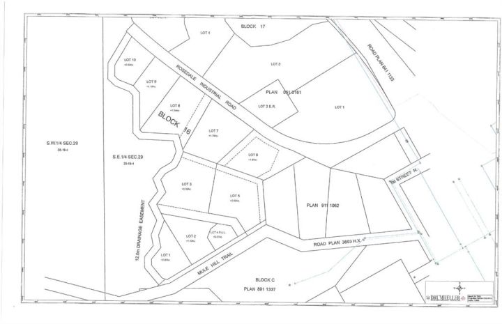
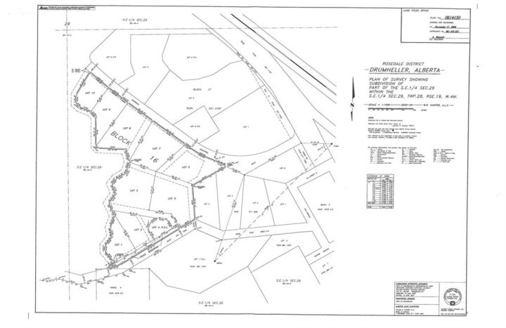
2.03 ACRES on LOT 5 in the ROSEDALE INDUSTRIAL PARK! This property should qualify for a 10% discount for being over 2.0 acres. Located approximately 10 km from the intersection of Highway 9 & 10 and approximately 6 km from Drumheller city center. This Subdivision has already seen development. Legal: Lot 5, Block 16, Plan 0614150. Lot Area is subject to an easement by the Town of Drumheller. Lot will have water, electricity, and natural gas servicing to the property line. Direct connection to sanitary sewer from the property line is available. Ask your agent about tax incentives. ***Residential uses not allowed on this land*** Roll: 19060505 | 2025 taxes: $0 | Lot size: 2.030 Acres | Land Use / Zoning: ED | Title number: 061 478 257 +3 LINC Number: 0032 045 883 | non financial encumbrances:811 117 857 23/06/1981 UTILITY RIGHT OF WAY GRANTEE - ICG UTILITIES (PLAINS-WESTERN) LTD. 941 151 458 09/06/1994 CAVEAT RE : RIGHT OF WAY AGREEMENT 061 478 259 17/11/2006 EASEMENT. Buyer must fill out a development permit application sheet as part of the offer outlining what they will build, who their contractor is, and outline the timeline that starts substantial construction within 8 months and completes construction with 24 months. Offers must be left open for 3 weeks from the date submitted.

Property details

Basic Info

MLS® #
A2262811
Property Type:
Land
Subtype:
Commercial Land
Subdivision:
Downtown
Price
$85,260
Sale/Lease:
For Sale

Building Info

Garage:
No
Basement:
No
Inclusions:
None

Lot / Land Info

Lot Size:
2.03 acres
Lot Features:
Irregular Lot, See Remarks
Water:
See Remarks
Zoning:
ED

Listing Info

Possession:
Negotiable
Related Properties
Share This Listing
Ask About This Property
  • This site is protected by reCAPTCHA and the Google Privacy Policy and Terms of Service apply.
Your Agent

Grassroots Realty Group Ltd.
1-833-477-6687

Email