Property Details

Featured in:

Winners:

Featured in:

Winners:

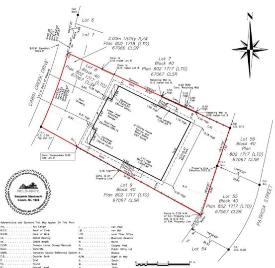
1216 Cabin Creek Drive
Jasper (A2275115)

$540,000
Loading Listing...

Loan Term
Interest Rate
Loan Amount
Annual Tax
Ann. Insurance

* Amounts are estimates only. Final payment amounts may vary.

Description

West-facing lot-only property located in Jasper's Cabin Creek West. Offers an excellent opportunity to build a dream mountain home or consider allowable income-producing options, subject to approvals. Lot is 5660 sq ft in R2 zoning. Lot has Certificate of Completion for Debris removal from Parks Canada and is ready for immediate possession.

Property details

Basic Info

MLS® #
A2275115
Property Type:
Land
Subtype:
Residential Land
Subdivision:
Jasper
Price
$540,000
Sale/Lease:
For Sale

Building Info

Garage:
No
Basement:
No
Inclusions:
n/a

Lot / Land Info

Lot Size:
0.13 acres
Zoning:
R2

Listing Info

Possession:
Immediate
Related Properties
Share This Listing
Ask About This Property
  • This site is protected by reCAPTCHA and the Google Privacy Policy and Terms of Service apply.
Your Agent

Grassroots Realty Group Ltd.
1-833-477-6687

Email